Главная / Общество / Саратовские ветеринары спасли проглотившую иголку кошку

Саратовские ветеринары спасли проглотившую иголку кошку

11 февраля 2021 - 17:51

Саратовские ветеринары рассказали, как спасли кошку, проглотившую иголку.

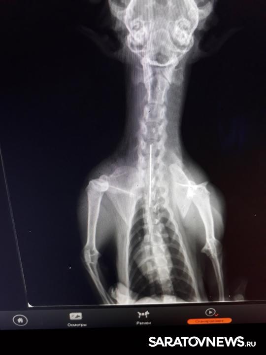
В ветеринарную лечебницу № 1 обратилась женщина, чья кошка сильно кашляла. По словам хозяйки, животное прошло курс лечения в другой клинике по поводу бронхопневмонии, но так и не выздоровела. В ходе диагностики был сделан снимок, на котором было ясно видно, что в мягких тканях шейно-грудного отдела между пищеводом и трахеей находилась игла.

Животному была проведена срочная операция по удалению инородного тела. Сейчас кошка проходит послеоперационное лечение и чувствует себя хорошо. Хозяйка кошки крайне удивилась такому исходу.

Последние новости
09 мая 2026
08 мая 2026